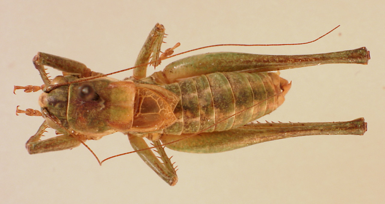
Rehn’s shieldback
Idiostatus rehni


Male, Siskiyou County, California
Determined by D.C. Rentz, 1970; Philadelphia Academy of Natural Science collection.
Photograph by Lucinda Treadwell, University of Florida.