space holder species page next image

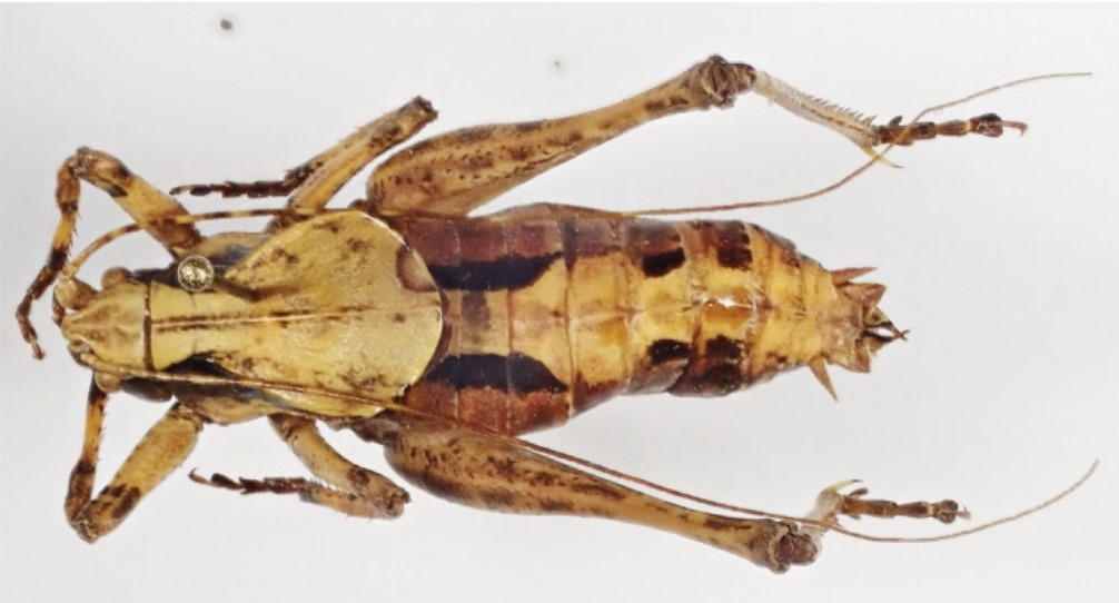
Steindachner's shieldback

Neduba steindachneri

image of Neduba steindachneri
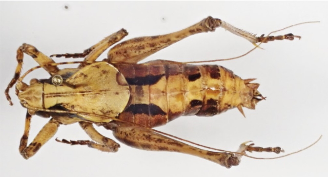
Dorsal view of same male.
Photograph from Cole et al. 2021.