previous image species page next image

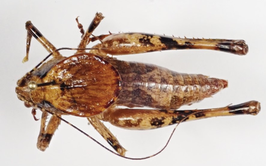
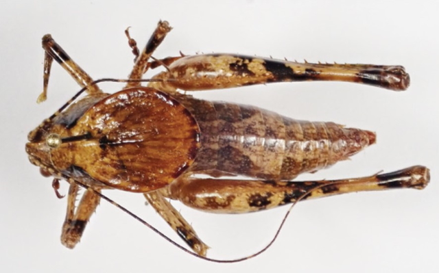
chestnut shieldback

Neduba castanea

image of Neduba castanea
Dorsal view of male topotype.
Photograph from Cole et al. 2021.