previous image species page next image

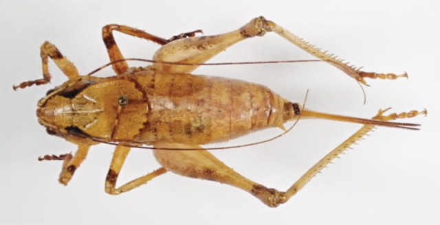
MacNeill's shieldback

Neduba macneilli

image of Neduba macneilli
Dorsal view of same female.
Photograph from Cole et al. 2021.