space holder species page space holder

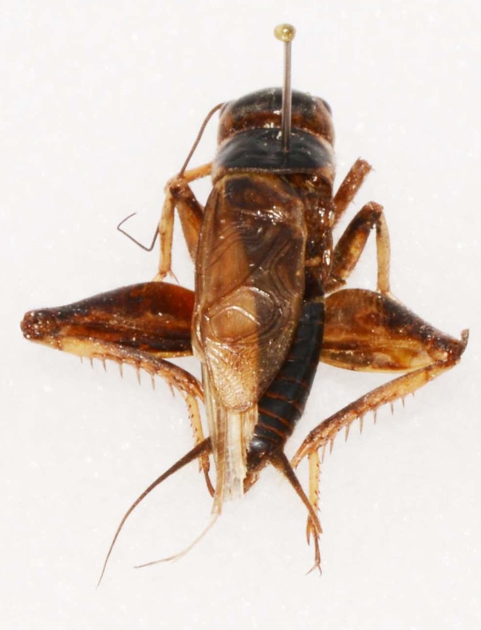
badlands cricket

Gryllus personatus

image for Gryllus personatus
Color variation in G. personatus: male, Navajo County, Arizona, collected near Sun Valley.
Photograph from Weissman and Gray 2019.