species page species page next image

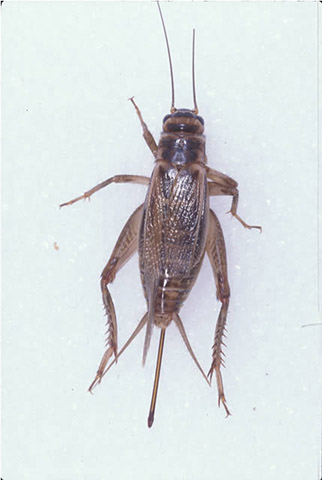
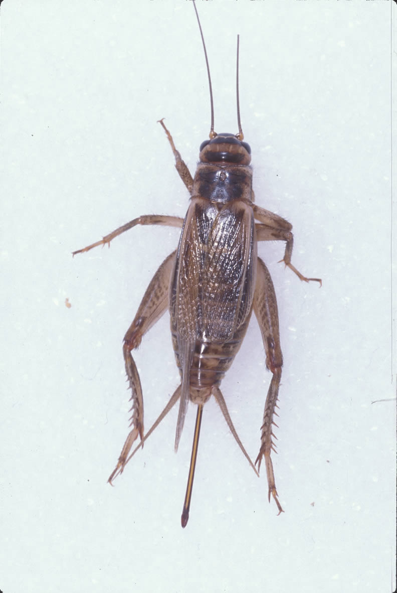
house cricket

Acheta domesticus

image of Acheta domesticus
Female with shed hindwing.
Photograph by P.M. Choate, University of Florida.

Patton (1975) encountered house crickets in his colonies that sometimes were missing either the left or right folded hindwing projecting from beneath the corresponding forewing, as in the image above (which is missing its right hindwing). He interpreted this as the missing folded hindwing failing to develop. When TJW refereed the manuscript of Patton’s paper he suggested that a simpler explanation was that the hindwing had developed normally but had subsequently been shed. When the manuscript was published, the alternative unilateral-shedding hypothesis was not mentioned, which prompted the writing of this short paper (Walker 1977). PDF’s of 4 of the 5 references cited in Patton's paper are online at allrefs.htm.