previous image species page next image

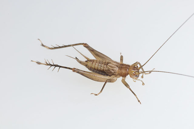
Tidewater trig

Anaxipha tinnula

image of Anaxipha tinnula
Juvenile female portrait, Kent County, Maryland.
Photograph by David Funk, Stroud Water Research Center, used by permission.