previous image species page next image

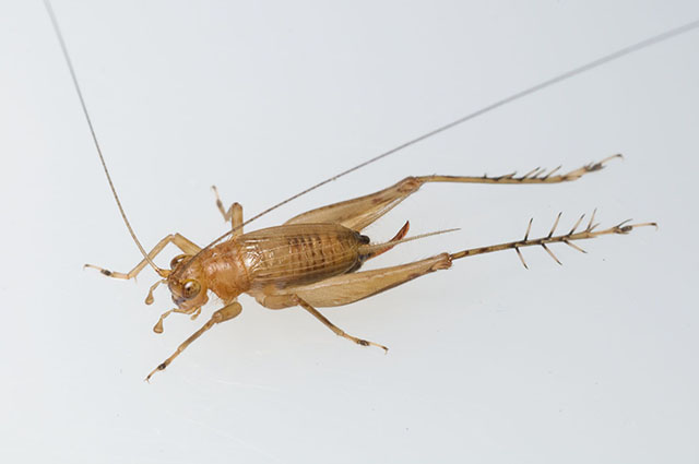
Tidewater trig

Anaxipha tinnula

image of Anaxipha tinnula
Short-winged female portrait, Kent County, Maryland.
Photograph by David Funk, Stroud Water Research Center, used by permission.