previous image species page next image

Fulton's trig

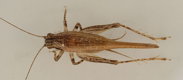
Anaxipha fultoni

image of Anaxipha fultoni
Long-winged female, Levy County, Florida
Photograph by Lyle Buss, University of Florida.