previous image species page next image

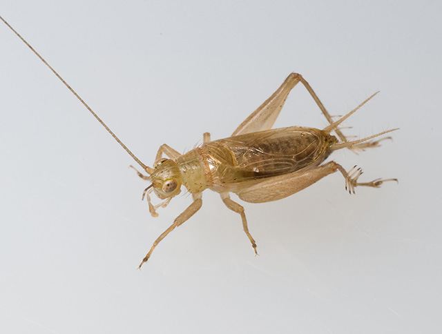
beach trig

Anaxipha litarena

image of Anaxipha litarena
Male, Cedar Key, Levy County, Florida.
Photograph by David H. Funk, Stroud Water Research Center, used by permission; TJWtoDHF#89or90.