previous image species page space holder

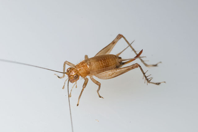
slow-tinkling trig

Anaxipha tinnulenta

image of Anaxipha tinnulenta
Female, Chester County, Pennsylvania.
Photograph by David H. Funk, Stroud Water Research Center, used by permission.