space holder species page previous image

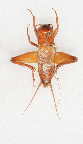
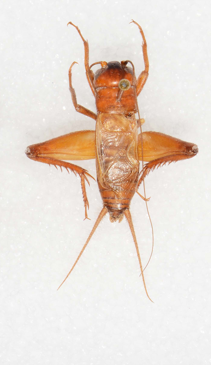
Painted Desert field cricket

Gryllus navajo

image of Gryllus navajo
Color variation in G. navajo: red male from Moenkopi Dunes, Coconino County, Arizona.
Photograph from Weissman and Gray 2019.