space holder species page species page

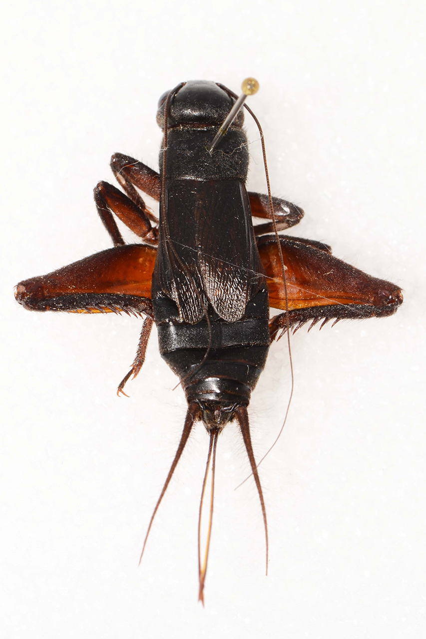
western rock-loving field cricket

Gryllus saxatilis

image of Gryllus saxatilis
Female from type locality, Mount Hamilton, Santa Clara County, California.
Photograph from Weissman and Gray 2019.