space holder species page previous image

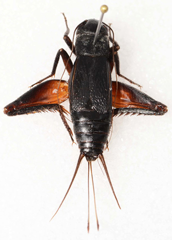
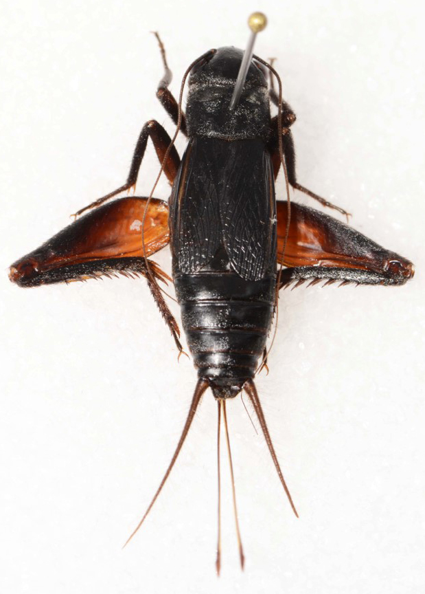
Organ Mountains field cricket

Gryllus sotol

image of Gryllus sotol
Female G. sotol from type locality, Organ Mountains-Desert Peaks National Monument, Doña Ana County, New Mexico.
Photograph from Weissman and Gray 2019.