space holder species page space holder

Texas beach field cricket

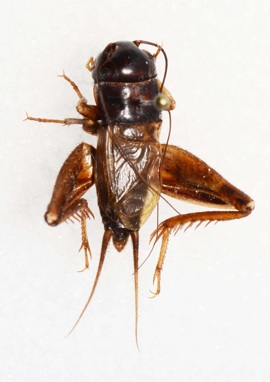
Gryllus thinos

image of Gryllus thinos
Holotype male of G. thinos, Padre Island National Seashore, Kleberg County, Texas.
Photograph from Weissman and Gray 2019.