Subfamily Gryllinae
Genus Acheta


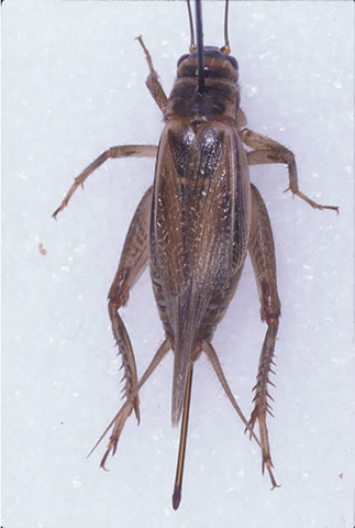
Photograph of female of Acheta domesticus, by P.M. Choate, University of Florida.