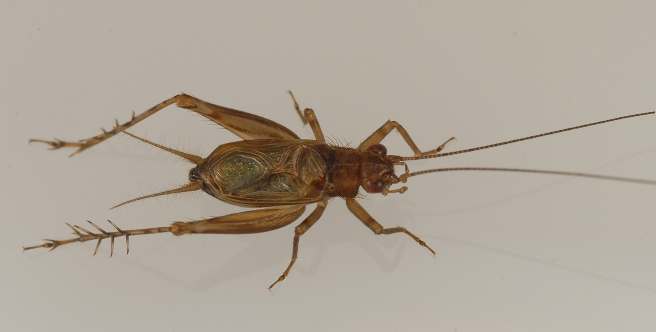
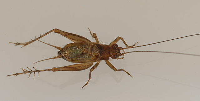
fast-tinkling trig
Anaxipha tinnulacita
FL male 2, dorsal view, Dade County, Florida.
Photograph by Lyle Buss, Universtiy of Florida.