previous image species page next image

fast-tinkling trig

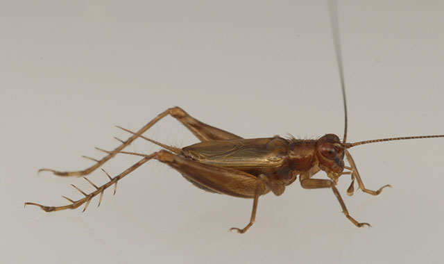
Anaxipha tinnulacita

image of Anaxipha tinnulacita
FL male 2, lateral view, Dade County, Florida.
Photograph by Lyle Buss, Universtiy of Florida. [DHF photographed same male in TJWtoDHF73_1623]